超强台风桦加沙逼近广东,全面停运列车与加强巨灾防御,深圳外卖平台或将关闭
超强台风“桦加沙”逼近广东,为应对可能出现的巨灾,广东省内所有列车将停运,深圳或将关闭外卖平台,相关部门呼吁市民做好防范措施,加强安全防范意识,避免外出,确保自身安全,此次台风可能带来严重影响,建议市民密切关注气象部门发布的预警信息,做好应对准备。
今年最强台风“桦加沙”将正面袭击广东省。中央气象台9月22日8时消息:今年第18号台风“桦加沙”(超强台风级)今晨5时中心附近最大风力有17级以上(62米/秒),中心最低气压为910百帕,且登陆强度将是强台风级到超强台风级。
▲图据中央气象台
广东省三防办、应急管理厅等七个部门罕见地联合发布提醒,“桦加沙”强度极强、大风范围广且持续时间长,具有极端性,需做好巨灾防御。9月24日全天,广东省内所有高铁、普速列车将停运;广东多地已开启“五停”措施。
为应对比2018年“山竹”更强的台风“桦加沙”,深圳市应急管理局宣布,或将关闭外卖平台以保护外卖小哥安全,并建议市民提前备好至少3天的食品、药品等应急物资。
广东高铁、普速列车将停运
深圳宣布或将关闭外卖平台
据中国气象报消息,我国风力等级依次划分为18个等级(0-17级)。中国气象局于2001年下发《台风业务和服务规定》显示,17级为56.1-61.2米/秒。如超过17级的最高标准,又可称之为18级,这也是国际航海界关于特大台风的普遍说法。这意味着目前中心风力62米/秒的台风“桦加沙”已达到风力标准的最大强度。
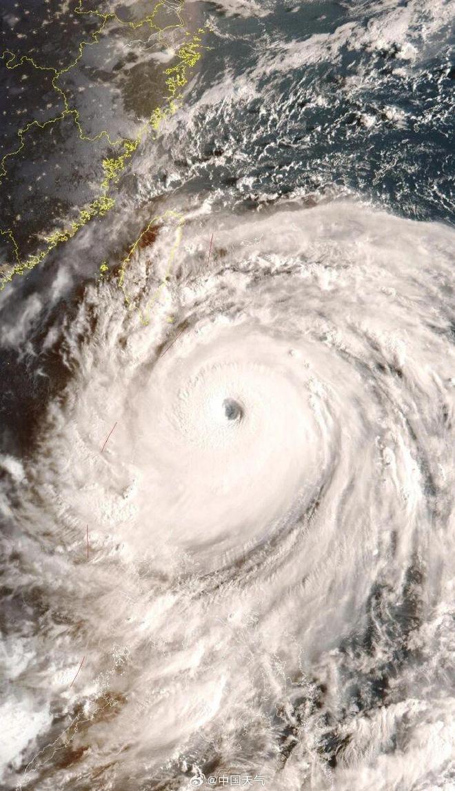
▲图据@中国天气
据“中国天气”微博消息,无论“桦加沙”以何种强度登陆,深圳、珠海、中山、江门、阳江等以及香港、澳门都将处于“桦加沙”的危险半圆影响范围内,阵风非常强,有一定极端性,9月24日将是影响最严重的一天,需提前做好防御。
9月22日,广东省三防办、应急管理厅、气象局、文化和旅游厅、海洋综合执法总队、自然资源部南海局、广东海事局联合发布提醒,“桦加沙”强度极强、大风范围广且持续时间长,具有极端性,需密切关注预警信号,做好巨灾防御。
9月22日,据“@广州铁路”消息,为保障列车运行安全,国铁广州局根据台风动态及影响范围,对管内列车运行计划进行调整——9月23日12时起:广东省内高铁及普速列车开始逐步停运,停运范围随台风影响动态调整;9月24日全天:广东省内所有高铁、普速列车停运。
面对“桦加沙”的威胁,9月21日,深圳市应急管理局防灾减灾处(地震处)处长王常效称,在台风防御过程中,为保护外卖小哥户外安全,深圳将视情况关停外卖平台,建议市民提前备好至少3天的食品、药品等应急物资。
▲深圳一家沃尔玛超市线上配送时间已基本约满
9月22日下午,多名深圳市民告诉红星新闻记者,他们出门准备物资时发现,下午4时许,深圳一家盒马超市原来摆满了蔬菜的货架基本已被清空,显示暂时缺货。深圳龙华一家沃尔玛超市线上配送时间也已基本被约满。记者从上述超市了解到,超市方面将加快补货速度,满足市民的购买需求。
广东多地发布“五停”措施
广州多个学校下发停课通知
红星新闻注意到,9月22日,东莞、珠海、惠州、江门等广东多个沿海城市已陆续宣布或者预告“五停”(停课、停工、停产、停运、停业)措施。
广州、深圳是否也会受“桦加沙”影响实施“五停”?根据深圳发布9月22日下午消息,9月23日至24日全市(含深汕特别合作区)中小学、幼儿园停课,全市校外教育培训机构参照学校严格执行停课指令。
深圳市应急管理局防灾减灾处(地震处)处长王常效接受当地电视台采访时介绍,“桦加沙”可能是自2018年“山竹”之后影响深圳最强的台风。目前全市已启动应急机制,各部门正有序开展各项防风防汛工作。呼吁市民保持警惕,切勿心存侥幸。目前全市计划转移安置沿海、低洼地带、工棚人员等约40万人。
针对社会关注的“五停”(停课、停工、停产、停运、停业)安排,深圳市应急管理局表示,将根据台风动态及时研判并通过官方渠道发布,请市民勿轻信未经证实的信息。
广州气象部门9月21日表示,据台风路径预报,预计22日夜间起广州各区会陆续升挂台风黄色预警信号,23日白天中南部各区陆续升挂台风橙色预警信号。22日下午,红星新闻记者从广州市南沙区多个学校了解到,不少学校已下发停课通知,22日下午放学后由家长错峰接学生返家。
红星新闻记者从广州市应急管理部门了解到,根据《广州市公众应对主要气象灾害指引》和《广州市教育系统应对台风、暴雨灾害天气指引》,当所在区域发布台风黄色及以上级别预警信号时,应当停课。
另据应急管理部9月22日消息,根据《国家防汛抗旱应急预案》有关规定,国家防总决定于9月22日11时30分针对广东、海南、福建启动防汛防台风四级应急响应,并派出工作组赶赴广东协助指导防汛防台风工作。
红星新闻记者蔡晓仪
编辑潘莉
作者:访客本文地址:https://nbdnews.com/post/1625.html发布于 2025-09-22 19:15:32
文章转载或复制请以超链接形式并注明出处NBD财经网



还没有评论,来说两句吧...